Hűtött élelmiszer Szarvasról Kecskemét érintésével Budapestre gépjárművel szállításával ismét csak csínján, mert június 20-án megkezdődött a Fekete Gólya és a repülős körforgalom közötti 2,8 kilométeres utolsó, gyalázatosan rossz szakaszának a felújítása. Tegnap még nem volt tapasztalható fennakadás a közlekedésben.
Az M44 fejlesztésének részeként megvalósuló beruházással kapcsolatban ez a cikk jelent meg a Nemzeti Infrastruktúra Fejlesztő Zrt. honlapján.
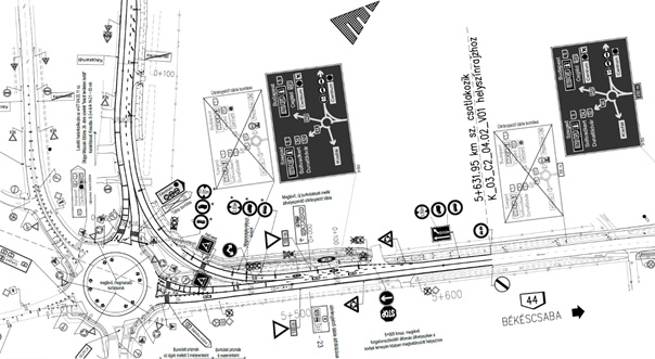
Ebben a következő szerepel: A jelentősen megnövekedő forgalom miatt a Fekete Gólya Étteremnél található csomópontot is fejleszteni kell: ennek megfelelően a 44-es főút és a 4622-es (Szentkirály felöl becsatlakozó) út találkozásánál új kétsávos körforgalmú csomópont jön létre. Az útszakasz másik végpontja is előrébb lép: a 445-ös és 44-es főút találkozásánál található „repülős” körforgalom kapacitását egy úgynevezett bypass ággal bővítik, ami gyakorlatilag egy új összekötő ágat jelent a 44-es főút és a reptérre vezető út között. A felújítás 500 méteres szakaszokban zajlik majd. Az átmenő forgalmat félpályás lezárás mellett váltakozó irányba jelzőlámpás irányítással engedik.
Ezzel kapcsolatban feltettünk néhány kérdést a NIF kommunikációs osztályának, amire nagyon készséges és kimerítő válaszokat kaptunk.

A bypass ágra vonatkozó kérdésünkre a következő magyarázat érkezett: A 44 sz. főút és a 445 sz. Kecskemét északi elkerülő út találkozásánál meglévő öt ágú körforgalmú csomópont (“repülős körforgalom”) kapacitásának növelése érdekében egy direkt összekötő ág (bypass ág) kerül kialakításra. Az ág 44 sz. főútból (Békéscsaba irányából) a kertészethez vezető útnál válik ki és egy 80 m sugarú ívvel csatlakozik a reptéri úthoz. A reptéri úton és a bypass ágon magasságkorlátozó konzol került telepítésre a teherforgalom helyi közútra való behajtásának megakadályozására. Ez jelenlegi felújításban még nem épül, mert területszerzéssel érintett.
A várható határidőkkel kapcsolatban a következő tájékoztatást kaptuk:
- A forgalomkorlátozással járó munkálatok ideje várhatóan 4-6 hét
- A 44 sz. főút csomóponti beavatkozásai („turbó körforgalom a Fekete Gólyánál és bypass ág a repülős körforgalomnál) 2023-ra várhatók.
- Az M44 Lakitelek-Szentkirály szakasz átadása várhatóan 2024. I. negyedév
- Az M44 Szentkirály-M5 szakasz várhatóan 2025. II. negyedév



